Schaedlingsvernichtung.de Icon
F

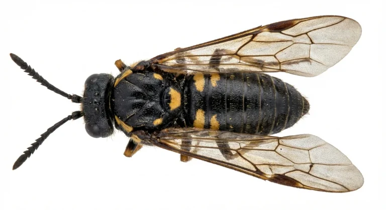
Fichtenbuschhornblattwespe (Gilpinia hercyniae)

Kirsten Weißbacher
Verfasst von Kirsten Weißbacher
Zuletzt aktualisiert: 01. April 2026
Lesedauer: 13 Minuten
© Schaedlingsvernichtung.de

Aussehen: Wie sieht Fichtenbuschhornblattwespe aus?

Erkennungsmerkmale

Die erwachsenen Tiere sind schwarz mit gelben Zeichnungen. Nach EPPO sind Weibchen gedrungen gebaut und etwa 6,0 bis 9,5 mm lang, Männchen etwa 4,0 bis 8,5 mm; Natural Resources Canada nennt für Adulte insgesamt 4,0 bis 9,6 mm. Typisch sind die unterschiedlich gebauten Fühler: Weibchen besitzen gesägte Fühler, Männchen gekämmte beziehungsweise pektinate Fühler. (Canadian Forest Health)

Die Eier sind blassgrün, länglich-oval und etwa 1,9 mm lang sowie 0,5 mm breit; sie sitzen einzeln in einen Schlitz der Nadel eingelagert und erzeugen dort eine sichtbare Wölbung. Die Larven durchlaufen sechs Stadien: junge Larven sind grün und noch ungestreift, das vierte und fünfte Stadium zeigt fünf weiße Längsstreifen, ältere Larven erreichen etwa 15 bis 20 mm Länge. Der Kokon ist rötlich braun, fein gesponnen und etwa 8 bis 9 mm lang. (EPPO Global Database)

Unterscheidung zu ähnlichen Arten

Die Art ist innerhalb der Gattung Gilpinia nicht immer einfach zu trennen. EFSA hebt hervor, dass G. hercyniae lange mit Gilpinia polytoma verwechselt wurde; sichere Unterschiede betreffen vor allem Merkmale der adulten Tiere, insbesondere Genitalien sowie Kopf- und Antennenmerkmale. (Semantic Scholar)

Für die Praxis ist wichtig: Larven lassen sich laut EFSA und EPPO nur eingeschränkt sicher bis zur Art bestimmen. Bei unklaren Funden an Fichte ist deshalb eine Bestimmung der Imagines oder eine fachliche Diagnose mit Bestimmungsschlüssel sinnvoller als eine bloße Larvenansprache. (Semantic Scholar)

Entwicklung und Lebenszyklus

Entwicklungsstadien

Gilpinia hercyniae überwintert als Präpuppe in einem Kokon im Nadelstreu, unter Laub beziehungsweise Moos oder teils auch in der Bodenauflage. Im Frühjahr erfolgt die Verpuppung, danach schlüpfen die adulten Tiere; die Weibchen legen ihre Eier einzeln in ältere Fichtennadeln. Aus den Eiern schlüpfen die Larven, die fünf fressende Stadien und ein sechstes, nicht mehr fressendes Stadium durchlaufen, bevor sie zu Boden fallen und einen Kokon anlegen. (EPPO Global Database)

Ein Teil der Präpuppen kann in verlängerter Diapause deutlich länger im Kokon verbleiben. EPPO nennt dafür meist zwei bis drei Jahre und in Einzelfällen bis zu sechs Jahre, was Populationsverläufe und Wiederauftreten lokal erschweren kann. (EPPO Global Database)

Entwicklungsdauer

Für frei entwickelte Populationen nennen die ausgewerteten Fachquellen keine starre Einheitsdauer, sondern klimaabhängige Spannweiten. EPPO beschreibt ungefähr zehn Tage Eientwicklung, rund einen Monat Larvenentwicklung über sechs Stadien und weitere zwei bis vier Wochen bis zur neuen Adultgeneration, sofern keine verlängerte Diapause einsetzt; eine neuere EFSA-Bewertung nennt 38 bis 103 Tage von der Eiablage bis zum Adulttier. (EPPO Global Database)

Auch bei der Zahl der Generationen pro Jahr zeigen die Quellen regionale Unterschiede. EFSA, EPPO und Natural Resources Canada nennen je nach Temperatur und Sommerlänge ein bis drei Generationen, während ein nordamerikanischer Überblicksartikel die Art dort eher mit ein bis zwei Generationen zusammenfasst; in Wales wurde in einem kühleren Klimaraum nur eine Generation beschrieben. (Semantic Scholar)

Lebensweise und Verhalten

Aktivitätsmuster

In Deutschland beginnen die adulten Tiere laut EFSA früh im Mai; im britischen Forsthandbuch wird die Flugzeit mit Mai/Juni angegeben. Larven sind je nach Klima und Zahl der Generationen von Frühsommer bis Herbst zu finden; der nordamerikanische Überblick nennt für dortige Bestände Larven von Mai bis Oktober mit einem Schwerpunkt im August. (Semantic Scholar)

Die Art ist kein koloniebildender Massenfresser wie manche Kiefernbuschhornblattwespen, sondern die Larven fressen überwiegend einzeln. Für die Ausbreitung relevant ist außerdem, dass Adulte gute Flieger sind und laut EPPO über Luftströmungen mehrere Kilometer verdriftet werden können. (EPPO Global Database)

Nahrung und Ernährung

Die Fichtenbuschhornblattwespe ist eng an Nadelbäume der Gattung Picea gebunden. Im natürlichen und forstlichen Kontext sind vor allem Fichtenarten betroffen; in Kanada werden besonders Weißfichte und Schwarzfichte geschädigt, während in der ursprünglichen Verbreitung die Gemeine Fichte (Picea abies) als Hauptwirt genannt wird. (Canadian Forest Health)

Die Larven fressen bevorzugt ältere, ein- bis dreijährige Nadeln. Frische Jahrestriebe werden von der ersten Generation häufig gemieden; EPPO und EFSA verknüpfen das mit der Eignung älterer Nadeln, und Natural Resources Canada beschreibt Fraß an jungen Nadeln vor allem dann, wenn ältere Nadeljahrgänge knapp werden oder der Befall stark ist. (EPPO Global Database)

Vermehrung und Fortpflanzung

Fortpflanzungsverhalten

Die Art vermehrt sich überwiegend thelytok parthenogenetisch, also mit weiblichen Nachkommen aus unbefruchteten Eiern. EPPO nennt ein stark weibchenlastiges Geschlechterverhältnis von etwa einem Männchen auf 1.200 Weibchen; ein aktueller Überblick beschreibt Männchen mit weniger als 1 % aller Adulten als selten. (EPPO Global Database)

Weibchen beginnen kurz nach dem Schlupf mit der Eiablage und sägen mit dem Legebohrer einen Schlitz in ältere Nadeln, in den jeweils ein Ei abgelegt wird. Belastbare, frei zugängliche Tageswerte zur adulten Lebensdauer waren in den ausgewerteten amtlichen und wissenschaftlichen Quellen nicht konsistent dokumentiert; gesichert ist aber die frühe Eiablage nach dem Schlupf. (EPPO Global Database)

Vermehrungsrate

Für die Eiablage nennen die Quellen eng benachbarte, aber nicht völlig identische Werte. EPPO berichtet meist 30 bis 60 Eier pro Weibchen, EFSA 35 bis 60 Eier pro Weibchen, und ein USDA-basiertes Bestimmungssystem nennt bis zu 65 Eier; für die Praxis ist daher ein Bereich von etwa 30 bis 65 Eiern pro Weibchen gut abgesichert. (EPPO Global Database)

Die Vermehrungsdynamik hängt stark vom Klima, der Sommerlänge und von natürlicher Gegenspielerwirkung ab. Gerade weil einzelne Weibchen ohne Befruchtung Nachkommen erzeugen können und Adulte gute Flieger sind, kann schon wenig eingeschlepptes Material für neue lokale Populationen ausreichen. (EPPO Global Database)

Vorkommen und Verbreitung

Natürliche Lebensräume

Die Art ist ein an Fichten gebundener Forstschädling und kommt in natürlichen wie auch in forstlich geprägten Fichtenbeständen vor. Natural Resources Canada beschreibt die ursprüngliche Verbreitung als wahrscheinlich in Mittel- und Nordeuropa sowie im nördlichen Asien bis nach Korea und Japan; EPPO ordnet die heutige natürliche Verbreitung Eurasien zu. (Canadian Forest Health)

In Europa ist die Art breit nachgewiesen. EFSA nennt Nachweise aus 19 EU-Mitgliedstaaten, und die EPPO-Datenbank führt sie für Deutschland als vorhanden und weit verbreitet. (Semantic Scholar)

Verbreitung in/an Gebäuden

Für Gebäude ist die Art nicht wegen einer an Innenräume angepassten Lebensweise relevant, sondern wegen der Verschleppung mit Pflanzenmaterial. EPPO nennt Eier und Larven auf lebenden Pflanzen oder Zweigschnitt sowie Präpuppen im Substrat von Topfpflanzen als realistische Verbringungswege; JKI-Unterlagen verknüpfen G. hercyniae entsprechend mit pflanzengesundheitlichen Anforderungen an Pflanzen zum Anpflanzen. (EPPO Global Database)

Praktisch relevant sind damit vor allem Baumschulware, Schnittgrün, junge Fichtenpflanzen oder saisonal verbrachte Bäume. Ein klassischer Innenraumbefall wie bei Vorrats-, Material- oder Hygieneschädlingen steht bei dieser Art nicht im Vordergrund; entscheidend ist der Eintrag über befallene Pflanzen. (EPPO Global Database)

Bedeutung als Schädling

Schadwirkung

Der wesentliche Schaden entsteht durch Fraß an älteren Nadeln. Natural Resources Canada beschreibt, dass dadurch die photosynthetische Leistung sinkt; EPPO ergänzt, dass nach mehreren Jahren wiederholter Entnadelung Zuwachsverluste, Kronenverlichtung, Kronensterben und teils auch Baumsterben auftreten können. (Canadian Forest Health)

Für die Schadbewertung wichtig ist, dass die Larven bei der Gemeinen Fichte vor allem ältere Nadeljahrgänge nutzen. EFSA weist darauf hin, dass die Nadeln des laufenden Jahres, die für Wachstum und Photosynthese besonders wichtig sind, normalerweise nicht geeignet sind; bei starkem Fraßdruck oder an einzelnen Wirtsarten kann aber auch jüngeres Nadelmaterial in Mitleidenschaft gezogen werden. (Semantic Scholar)

Wirtschaftliche Schäden

Historisch war die Art ein bedeutender Forstschädling. Natural Resources Canada bezeichnet die Ausbrüche der 1930er Jahre in Kanada als das damals dominierende Waldschutzproblem; auch das britische Forsthandbuch beschreibt lokal schwere Schäden in Wales an Picea sitchensis und Picea abies. (Canadian Forest Health)

Heute ist die wirtschaftliche Bedeutung in vielen Regionen deutlich geringer als während der historischen Massenvermehrungen. EPPO führt das auf die Wirkung natürlicher Gegenspieler und eines viralen Erregers zurück, die Populationen in der ursprünglichen wie in der eingeführten Verbreitung meist auf niedrigem Niveau halten. (EPPO Global Database)



Gesundheitliche Risiken

Direkte Gefahren

Die ausgewerteten Fachquellen beschreiben Gilpinia hercyniae als nadelfressenden Pflanzenschädling an Fichten. Weibchen besitzen einen sägeartigen Legebohrer zur Eiablage in Nadeln; im Vordergrund stehen damit Pflanzenschäden, nicht ein artspezifisches Stich- oder Bissgeschehen gegenüber Menschen. (Canadian Forest Health)

Für Menschen, Haustiere und die Innenraumhygiene nennen die eingesehenen amtlichen und wissenschaftlichen Quellen keine direkte medizinische Relevanz. Das Problem ist in erster Linie forstlich und gärtnerisch: geschwächte oder entnadelte Fichten verlieren an Vitalität und können bei längerem Starkbefall absterben. (Canadian Forest Health)

Indirekte Folgen

Indirekt relevant sind vor allem die Folgen für befallene Pflanzenbestände. Wiederholte Entnadelung kann Wachstumseinbußen, Kronenrückgang und in Extremfällen Ausfälle in Forsten, Baumschulen oder Fichtenpflanzungen verursachen. (Canadian Forest Health)

Ein Hygieneschädlingsprofil ist für diese Art aus den ausgewerteten Quellen nicht ableitbar. Dokumentiert sind Fraßschäden, Nadelverlust und Verbringungsrisiken über Pflanzenmaterial, nicht die Verunreinigung von Lebensmitteln oder die Übertragung humanpathogener Erreger. (EPPO Global Database)

Befall erkennen

Befallsanzeichen

Typische frühe Hinweise sind blassgrüne, in ältere Nadeln eingesägte Eier mit kleiner Wölbung sowie einzeln fressende Larven an älteren Nadeljahrgängen. Bei stärkerem Befall fallen grüne bis später rötlich braune Kotpellets auf, die sich in der Krone oder am Boden unter dem Baum ansammeln. (EPPO Global Database)

Natural Resources Canada beschreibt außerdem, dass Schäden häufig im unteren Kronenbereich und am Bestandesrand beginnen. Für die Kontrolle kleinerer Pflanzen oder tiefer Äste empfiehlt EPPO das Abklopfen oder Ausschütteln von Zweigen über einem Tuch oder einer Schale, weil Larven und Adulte so besser auffallen. (Canadian Forest Health)

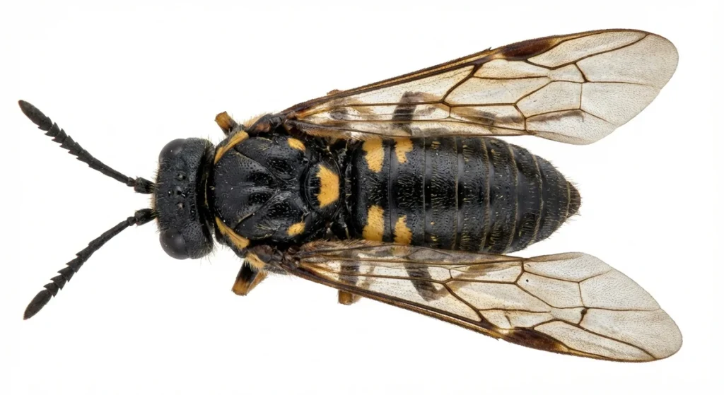
Fichtenbuschhornblattwespe (Gilpinia hercyniae) in typischer Umgebung – Befall erkennen und bekämpfen
© Schaedlingsvernichtung.de

Schadensspuren

Fraßspuren zeigen sich zunächst an älteren Nadeln, die vom Spitzenbereich her abgefressen werden. Mit zunehmender Fraßintensität wirken Kronenteile gelichtet, ältere Nadeljahrgänge fehlen, und unter dem Baum liegt vermehrt Fraßkot. (Canadian Forest Health)

Am Boden können außerdem rötlich braune Kokons in der Streu- oder Bodenauflage liegen. Diese Bodennähe der Präpuppen ist für die Diagnose wichtig, weil ein oberirdisch scheinbar abklingender Befall im Untergrund noch Entwicklungsstadien enthalten kann. (EPPO Global Database)

Vorbeugende Maßnahmen

Vorbeugung beginnt bei der Kontrolle von Fichtenpflanzen, Zweigschnitt und Containerware. Da EPPO Eier und Larven auf lebenden Pflanzen und Zweigen sowie Präpuppen im Topfsubstrat als Verschleppungswege nennt, sollten insbesondere Baumschulware und verbrachte Fichten vor dem Verpflanzen oder Weitergeben sorgfältig auf Eiwülste, Larven, Fraß und Kokons geprüft werden. (EPPO Global Database)

Sinnvoll ist außerdem ein saisonales Monitoring im Frühjahr und Sommer, wenn Eier, Larven und frischer Fraß sichtbar werden. Für Betriebe mit Pflanzenverkehr ist relevant, dass JKI-Unterlagen G. hercyniae als geregelten Schadorganismus in bestimmten Schutzgebietskontexten führen; saubere Warenkontrolle und das Vermeiden von Verbringungen befallener Pflanzen sind deshalb wichtiger als spätes Reagieren auf bereits entnadelte Bestände. (Canadian Forest Health)



Bekämpfung

Professionelle Bekämpfung

Bei gesichertem Befall steht zunächst die korrekte Artbestimmung im Vordergrund, weil Larven mehrerer Fichtenblattwespen ähnlich aussehen können. Professionelle Maßnahmen stützen sich deshalb vor allem auf Diagnose, Monitoring an Pflanzenmaterial, Einschätzung des Befallsdrucks und – im Pflanzenverkehr – auf phytosanitäre Vorgaben für Pflanzen zum Anpflanzen. (Semantic Scholar)

Für großflächige historische Ausbrüche ist gut belegt, dass Parasitoide und ein Nucleopolyhedrovirus die Populationen entscheidend reduziert haben. Daraus folgt für die Praxis: In Forst- und Baumschulbeständen ist eine fachlich abgestimmte Bekämpfung sinnvoller als pauschale Eigenbehandlung, zumal heutige Populationsverläufe stark von Gegenspielern, Klima und Diapause geprägt sind. (Canadian Forest Health)

Eigenmaßnahmen

Bei kleinen Fichten oder Einzelpflanzen können Larven abgesammelt oder nach dem Ausschütteln von Zweigen über einer Unterlage entfernt werden; Natural Resources Canada nennt das ausdrücklich für kleine Bäume. Diese Maßnahme ist nur dann realistisch, wenn der Befall früh erkannt wird und die Krone erreichbar bleibt. (Canadian Forest Health)

Wichtig ist außerdem, befallene Jungpflanzen, Zweige oder Containerware nicht unkontrolliert an andere Standorte zu verbringen. Eigenmaßnahmen stoßen dort an Grenzen, wo Bestände höher, Befallsherde unklar oder Pflanzen für den Handel bestimmt sind; dann ist eine fachliche Diagnose mit pflanzenschutzrechtlicher Einordnung die sicherere Vorgehensweise. (EPPO Global Database)

WICHTIGER HINWEIS
Bei starkem oder wiederkehrendem Schädlingsbefall empfehlen wir dringend die Konsultation eines professionellen Schädlingsbekämpfers. Eigenständige Bekämpfungsmaßnahmen können bei unsachgemäßer Anwendung gesundheitliche Risiken bergen oder den Befall verschlimmern. Die Informationen in diesem Artikel dienen der Aufklärung und ersetzen keine professionelle Schädlingsbekämpfung.

Häufig gestellte Fragen (FAQ)

Ist "Fichtennadelblattwespe" der korrekte Fachname für Gilpinia hercyniae?

In den ausgewerteten amtlichen und fachlichen Quellen fanden sich für Gilpinia hercyniae die deutschen Bezeichnungen „Fichtenbuschhornblattwespe“ und „europäische Fichtenblattwespe“. Die Schreibweise „Fichtennadelblattwespe“ war in den eingesehenen Fachquellen nicht belastbar dokumentiert; für diesen Artikel wird deshalb die quellenbelegte Bezeichnung Fichtenbuschhornblattwespe verwendet. (Bundestag)

Befällt die Art nur Fichten?

Sie ist vor allem an Picea-Arten gebunden. Natural Resources Canada nennt verschiedene Fichtenarten als Wirte, und der nordamerikanische Überblick führt Weißfichte, Gemeine Fichte, Schwarzfichte, Colorado-Fichte, Engelmann-Fichte und Rotfichte an; Tannen werden dort nur randständig als seltene Wirte aufgeführt. (Canadian Forest Health)

Warum werden oft zuerst ältere Nadeln geschädigt?

Die Larven fressen überwiegend an ein- bis dreijährigen Nadeln. EFSA und EPPO beschreiben reife Nadeln als die reguläre Nahrungsbasis, während frische Jahrestriebe vor allem von frühen Generationen oft gemieden werden; dadurch beginnt der Schaden typischerweise nicht an den ganz jungen Nadeln. (Semantic Scholar)

Wie viele Generationen pro Jahr sind in Mitteleuropa zu erwarten?

Eine pauschale Zahl ist nicht seriös, weil die Quellen regional differieren. Für kühle Lagen wurde eine Generation beschrieben, EPPO, EFSA und Natural Resources Canada nennen insgesamt ein bis drei Generationen abhängig von Temperatur und Sommerlänge, während ein aktueller nordamerikanischer Überblick die Art dort eher mit ein bis zwei Generationen führt. (Forest Research)

Kann ein einzelnes Weibchen einen neuen Befall auslösen?

Ja, dieses Risiko ist fachlich plausibel und durch die Biologie gut begründet. EPPO betont, dass die Art überwiegend parthenogenetisch ist und dass schon ein einzelnes Weibchen eine neue Population initiieren kann; zusätzlich können Adulte aktiv fliegen und durch Luftströmungen verdriftet werden. (EPPO Global Database)

Ist ein Befall an Weihnachtsbaum oder Topffichte im Innenraum dauerhaft?

Relevant ist vor allem das Einschleppen mit Pflanzenmaterial. EPPO nennt Eier und Larven auf Pflanzen oder Zweigschnitt sowie Präpuppen im Topfsubstrat als Verbringungswege; die Fachquellen beschreiben die Art jedoch als an Fichtennadeln gebundenen Pflanzenschädling und nicht als an Innenräume angepassten Haushaltsschädling. (EPPO Global Database)

Wann sollte ein Fachbetrieb hinzugezogen werden?

Spätestens dann, wenn die Artbestimmung unsicher ist, wiederholt deutliche Entnadelung auftritt oder Pflanzen für Baumschule, Handel oder Verbringung bestimmt sind. Dann reicht das bloße Absammeln oft nicht mehr aus; wichtiger werden sichere Diagnose, Befallsmonitoring und die Einhaltung pflanzengesundheitlicher Vorgaben. (Semantic Scholar)

Quellen

  • Natural Resources Canada: „European spruce sawfly“ in Trees, insects, mites and diseases of Canada’s forests. (Canadian Forest Health)
  • EPPO Global Database: Datasheet zu Gilpinia hercyniae sowie Verbreitungsangaben für Deutschland. (EPPO Global Database)
  • EFSA Journal 2017: Pest categorisation of Gilpinia hercyniae. (Semantic Scholar)
  • EFSA 2025: Commodity risk assessment mit Angabe zur Entwicklungsdauer von der Eiablage bis zum Adulttier. (EFSA Journal)
  • Journal of Integrated Pest Management 2023: Überblick zu Nadelblattwespen in Ost-Nordamerika. (OUP Academic)
  • Julius Kühn-Institut und zugehörige pflanzengesundheitliche Unterlagen zu geregelten Schadorganismen und Schutzgebieten. (Pflanzengesundheit)
  • Amtliche und fachliche deutsche Namensbelege zu Gilpinia hercyniae als Fichtenbuschhornblattwespe beziehungsweise europäische Fichtenblattwespe. (Bundestag)
  • Forestry Commission Handbook Forest Insects mit britischen Angaben zu Phänologie und Ausbruchsgeschehen. (Forest Research)

Über unsere*n Autor*in
Kirsten Weißbacher
Kirsten hat Germanistik in Hamburg studiert und im Anschluss ein Volontariat gemacht. Nach ihrem Start in der Unternehmenskommunikation eines lokalen Herstellers wechselte sie in die freiberufliche Tätigkeit. Seit Februar 2024 ist Kirsten bei Digitale Seiten und schreibt dort Ratgeber zu Handwerksthemen aller Art.